Quadrant I
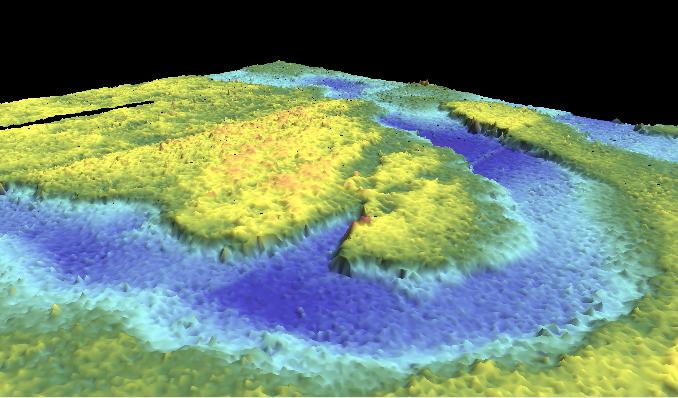
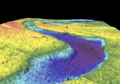
Northwest Area, Transect Meanders
Images produced by Alison Deary and Brian Kennedy, CofC Geology Minors, Beam Team 2007
View their research poster:
"Sonar Characterization of a Relict Meandering River Channel in the Mid-Continental Shelf "
Deary,A. and Kennedy, B., and Sautter, L.R., 2007, Geological Society of America Abstracts with Programs, Vol. 39, No. 2
Quad I | Quad II | Quad III |
Quad IV | Quad V | Basemap | Multibeam Home
Scroll
down to review gallery images.
|
......
An overview of the study area, showing locations of 3-D views, below.

The two images below show Sites 1 and 3 using a different color scale.
......... 
TOP